IN THIS ISSUE | | ➡️ Alert Ready test today | | ➡️ IRAC blasts council for 'substantive planning error' | | ➡️ Harbourfront Theatre yard sale this weekend |
|
|
|
QUICK HITS | | ⚠️ What's that sound? The Alert Ready system will be tested today around 12:55 by PEI’s Emergency Measures Organization. The emergency alerting system sends critical information to television, radio, and compatible wireless devices. | | 🚧 Spencer Drive: The extension of Spencer Drive from Canadian Tire to Mount Edward Road has been talked about for years, now the public has a chance to see details of the proposed four-lane street before construction begins in a few months. A technical drawing of the new street is part of a public consultation process launched by the city on the West Royalty Commercial Area Transportation Master Plan. The objective of the long-term plan is to enhance traffic movement, accommodate projected growth, and facilitate proposed residential development in the area. Residents have until 4PM on May 23 to submit feedback on the plan. | | 🍿 Moviegoers rejoice! After months of limited options in Charlottetown and long lineups at Cineplex Summerside, relief is in sight for flix fans. Brackley Drive-In Theatre opens for the season this Friday, followed by the reopening of Cineplex Charlottetown on May 19. So what’s playing this weekend? Brackley Drive-In Theatre opens with Mario Brothers and Champions on screen 1, and Guardians of the Galaxy Vol. 3 and Ant-Man and the Wasp: Quantumania on screen 2. |
|
|
|
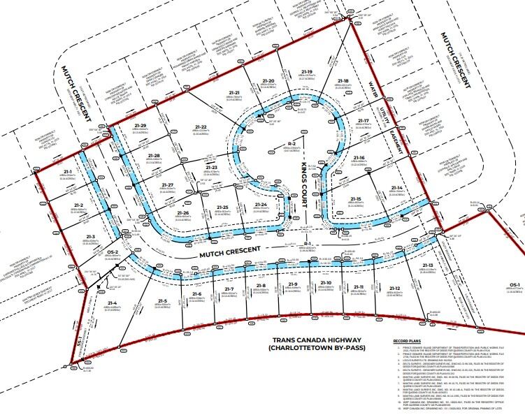
APPEAL | IRAC blasts city council for 'substantive planning error' | |  | | The Island Regulatory and Appeals Commission has quashed a decision by Charlottetown council and ordered a parcel of land in West Royalty to be rezoned.
The Sandlewood subdivision has been under development since 2004. With the exception of a few duplexes, the subdivision consists of homes built on land zoned R1-S, or small lot residential. The developer, New Homes Plus (Warren Doiron), submitted an application to the city last summer to rezone the last phase of the subdivision to R1-N, narrow lot residential. The change would increase the number of homes in the last phase from 29 to 46.
The plan was taken to a public meeting where area residents gave councillors an earful. Arguments against the proposal centered on an expectation residents had that the entire subdivision would be developed under the R1-S zone. There were also concerns that the additional 17 homes would create traffic congestion on nearby streets.
Planning staff with the city had recommended that the rezoning application be approved, saying in a recommendation to council that narrow lots would be a more efficient use of land and would be compatible with the surrounding neighborhood. Despite this recommendation, council sided with residents and rejected the proposal. As these issues do, the developer appealed council’s decision to IRAC. In its decision last week, the Commission blasted council for not following the recommendations of city staff, and instead voted to uphold expectations nearby residents had that the land would be developed under the R1-S zone. IRAC normally quashes a decision then sends the project back to a municipality to reconsider. But in this case, IRAC found that there would be no benefit to giving council a second crack at it, and instead imposed its own decision in the matter.
|
|
|
|
CORRECTION | | 📝 Last week I told you about a proposed residential development on Mount Edward Road. I wrote that 464 units are planned, the actual number of units planned is 542. I’m not sure exactly where that other number came from. Anyway, city council voted Monday evening to send the project to a public meeting – I’m sure it’ll be a doozy! | |
|
|
|
COMMUNITY CORNER | | 🎭 Here’s a fun one! An interesting and varied range of props and costumes will be sold at Harbourfront Theatre’s first-ever yard sale this Saturday from 8AM - 1PM. All are welcome to attend and browse the unique collection of items. Who knows, the perfect 2023 Halloween costume might be waiting for you! | | 🥫 Support PEI Monks' mission to help feed Islanders in need at their End Hunger in PEI fundraiser this Saturday. By donating $10 or non-perishable food items, you'll receive an appreciation gift of your choice - dinner rolls, incense cones, or eco-friendly kitchen soap. You’ll find the monks inside Confederation Court Mall between TD Bank and Shoppers from noon to 3PM. | | 🎨 The artwork of Seniors College of PEI students and instructors is now on display at The Guild in Charlottetown until May 28. This is the 11th anniversary for the college’s annual art show. The opening reception takes place this evening (Wednesday) from 7-9PM. Everyone is welcome. | | Send a quick message if your organization would like to publish a quick PSA. There's no charge for these. Max three per-issue. |
|
|
|
WEATHER | | Wednesday | 🌤️ H 10°C 🌡️ L 4°C 💨 NW 15 km/h, gusting 37 | | Thursday | ☀️ H 15°C 🌡️ L 4°C 💨 ENE 11 km/h, gusting 26 | | Looking Ahead | ☔️ Bit of a soggy weekend, but perfect weather to tackle that indoor project you've been putting off... |
|
|
|
SUPPORT ISLAND EDITION | | If you enjoy Island Edition, please consider supporting this project. | | 👥 Share: Use your unique link to share Island Edition on your social media pages. It's easy; just copy and paste: *|RH_REFLINK|* | | ⏩ Forward: Forwarding this email to a friend is an even easier way to share Island Edition. You won't get credit for it, but it'll be super helpful! | | 💸 Donate: Island Edition costs almost $300 a month to maintain. If you want to chuck a few bucks toward the project, please Interac e-Transfer to [email protected] or use a card by following the link on my donate page. Every dollar goes toward newsletter expenses. | | 🗣️ Advertise: If you have a great product or service you'd like to promote, consider advertising in Island Edition. If you don't want to fill out the form, send me a quick message or book a call with me. |
|
|
|
THANKS FOR READING! | | *|IF:RH_REFLINK|*  | Share Island Edition, Earn Rewards! | Thanks for reading today's issues of Island Edition. If you found this issue useful, please share it with your friend who thinks they know-it-all.
This is your unique referral link 👇 Copy it, share it, earn reward. | *|RH_REFLINK|* | | PS: You have referred *|RH_TOTREF|* people so far | | See how many referrals you have | | ⚡️ by SparkLoop |
|
*|END:IF|* |
|
|
|
|